없습니다
| 리스구매시  | 월 | 40,000 |
원 |
| 연식 | 2011년 6월 | 색상 | 파란색 |
| 연료 | 경유 | 변속기 | 수동 |
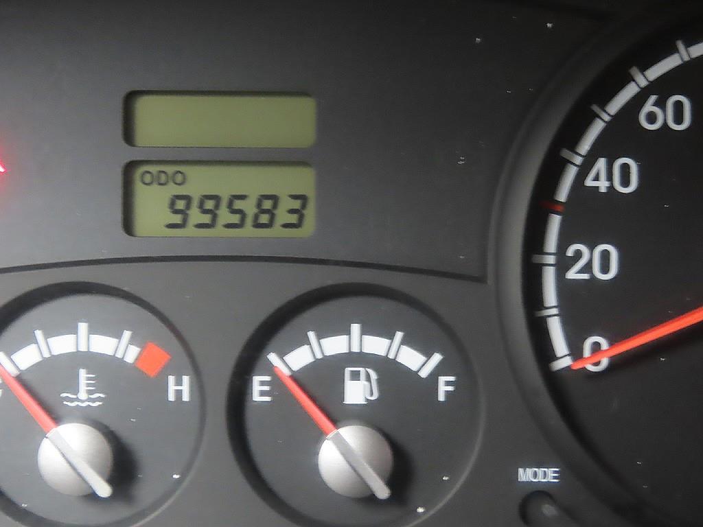
| 주행거리 | 99,000 km | 차량번호 | 83보3239 |
| 사고유무 | 성능기록부 참조 | 제시번호 | 제 2026002090 호 |
| 압류/저당 | 없음 / 없음 | 세금미납 | 없음 |
| 판매담당자 | 이황재 [사원증 보기] |
| 소속상사 | 영차 |
| 사원증번호 | IC2400106 |
| 소개글 | 허위 매물 걱정없는 KR중고차리스 입니다. 차량에 대해 궁금하신 사항은 24시간 문의 가능합니다. |
| 연락처 | 0508-4265-5400 |














| 구분 | 판매시(양도인) | 구매시(양수인) |
|---|---|---|
| 개인 |
|
|
| 개인 사업자 |
|
|
| 법인 |
|
|
책임 한계 및 법적 고지사항
1. KR중고차리스는 등록 시스템만을 제공하며, 상담자가 직접등록한 차량의 기재 내용에 대한 모든 책임은 상담자에게 있습니다.
2. 차량 등록증이나 성능점검지 등을 상담자에게 요청및 확인하시고 사전에 미리 점검 하시기를 권유드립니다.
3. 차량의 이미지중 차량번호가 의도적으로 가공, 편집 된 경우나 지나치게 가격이 낮을 경우 더욱 세심한 주위를 요구합니다.
4. 같은 단지 또는 사무실에 있는 상담자분들이 다수 이용을 하다보니, 동일 차량이 있을 수 있음을 유념해주시길 바라겠습니다.
5. KR중고차리스는 소비자 피해보호를 위해 허위매물 검수팀 운영등 나름에 최선을 다하고 있습니다.
* KR중고차리스에 등록된 차량은 상담자가 직접 등록한 차량으로 KR중고차리스는 그 등록 내용에 대한 책임을 지지 않습니다.
보증내용
자동차관리법 시행규칙 제120조의 규정에 따라 별지 제 82호서식 《중고자동차 성능, 상태점검 기록부》를 발행한 성능, 상태점검자 및 매매자는 아래의 보증기간 또는 보증거리 이내의 중고자동차, 성능점검 기록부에 기재된 내용과 자동차의 실제 성능, 상태가 다른 경우 계약 또는 관계법령에 따라 매수인에 대하여 책임을 집니다.
보증기간 / 보증거리
자동차 인도일로 부터 30일, 자동차 인도일로 미터 2천키로 미터 (그 중 먼저 도래한 것을 적용합니다.)
-중고자동차 매매업자를 통해 차량을 구입하실 경우 반드시 "중고자동차 성능, 상태점검 기록부"를 교뷰 받으셔야 하며, 매매업자는 반드시 의무 교부 하여야 압니다.
※ 주의 ※
위의 게제한 내용은 2020년 현재 사항이며, 관계법형의 개정이 있을 수 있음으로 차량 구입일 현재의 법령을 확인하시길 바랍니다.
소형화물 카고(소형) [카고]봉고3 (04~19년) 1.0톤/킹캡/초장축/(CRDi) |
|
수동|경유|2011년 6월|99,000 km 83보3239| cc|파란색|무사고 |
이황재|0508-4265-5400 |
|---|